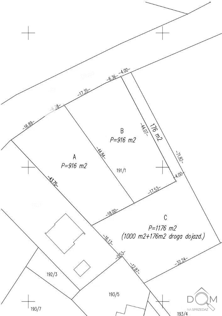
Na sprzedaż działka budowlana w Mierzynie o powierzchni:
1176 m2 -425 zł/m2
Okolica malownicza, cicha i spokojna. Działki dobrze nasłonecznione, na lekkim wzniesieniu. Wjazd na działki od strony północnej.
Dojazd do działek drogą asfaltową częściowo wydzielonym fragmentem działki
Media: prąd, woda, kanalizacja, gaz - w drodze obok działki.
Dla działki wydana została decyzja o warunkach zabudowy- jednorodzinna wolnostojąca
nieprzekraczalna linia zabudowy: 6 m od granicy działki
maksymalny udział powierzchni zabudowy: 13,7%
minimalny udział powierzchni biologicznie czynnej: 50%
maksymalna intensywność zabudowy: 41,1%
nadziemna intensywność zabudowy: od 8% do 27,4%
wysokość zabudowy: do 9,5 m
dach stromy dwuspadowy lub wielospadowy
kąt nachylenia dachu: 35°–45°
Uwaga: istnieje możliwość wystąpienia do gminy o zmianę warunków zabudowy, co daje przyszłemu właścicielowi dodatkową elastyczność projektową.
Kontakt:
Marcin Wieloch
tel: 502186855
wieloch@patio.nieruchomosci.pl
nr licencji pośrednika odpowiedzialnego: 6144
Powyższe informacje zostały sporządzone na podstawie oświadczeń i nie są ofertą w rozumieniu przepisów prawa. Mają one jedynie charakter informacyjny- zalecamy ich osobistą weryfikację.
×
Napisz do
właściciela nieruchomości
Wypełnij formularz poniżej, a
Marcin Wieloch
otrzyma Twoją wiadomość
✕
Budujmy tę stronę razem. Twoja opinia jest dla nas ważna.
Wypełnij ankietę
Wybierz sposób wyszukiwania
Rysowanie na mapie
Narysuj obszar na mapie, w którym chcesz szukać nieruchomości
Szukanie w promieniu
Szukaj w określonym promieniu od wskazanego adresu
Szukanie po adresie
Wpisz nazwę miejscowości, dzielnicy lub ulicy
Szukanie na mapie
Przeglądaj mapę z wyświetlonymi ofertami nieruchomości
🍪 Zarządzanie plikami cookies
Ta strona używa plików cookies w celu zapewnienia prawidłowego działania serwisu, analizy ruchu i personalizacji treści.
Możesz zarządzać swoimi preferencjami lub zaakceptować wszystkie cookies.
Dowiedz się więcej w Polityce Prywatności.