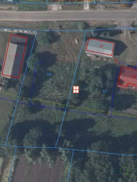
Zabłotce gm. Radymno, pow. jarosławski - działka budowlana na sprzedaż o pow. 1600 m2 (16 ar).
Działka w kształcie prostokątu, płaska. Dojazd do działki drogą asfaltową z dobrym zjazdem na działkę.
Na działkę zostały wydane warunki zabudowy. W cenie działki również projekt budowlany domu jednorodzinnego.
Media:
- gaz w działce,
- wodociąg w działce,
- energia elektryczna w działce,
- kanalizacja w planie budowy - w obecnej chwili odprowadzanie ścieków do zbiornika bezodpływowego (szambo).
Kontakt:
Zbigniew Foryś
tel: +48 509 227 033
z.forys@forysnieruchomosci.pl
nr licencji pośrednika odpowiedzialnego: 28226
Kontakt do biura:
Foryś Nieruchomości Sp z o.o.
+48166711044
biuro@forysnieruchomosci.pl
Budujmy tę stronę razem. Twoja opinia jest dla nas ważna.
Wypełnij ankietę
Wybierz sposób wyszukiwania
Rysowanie na mapie
Narysuj obszar na mapie, w którym chcesz szukać nieruchomości
Szukanie w promieniu
Szukaj w określonym promieniu od wskazanego adresu
Szukanie po adresie
Wpisz nazwę miejscowości, dzielnicy lub ulicy
Szukanie na mapie
Przeglądaj mapę z wyświetlonymi ofertami nieruchomości
🍪 Zarządzanie plikami cookies
Ta strona używa plików cookies w celu zapewnienia prawidłowego działania serwisu, analizy ruchu i personalizacji treści.
Możesz zarządzać swoimi preferencjami lub zaakceptować wszystkie cookies.
Dowiedz się więcej w Polityce Prywatności.