DZIAŁKI BUDOWLANE - PILCZA ŻELICHOWSKA, GMINA OLESNO, POWIAT DĄBROWSKI!!!
Oferujemy do sprzedaży trzy działki budowlane, z których każda posiada wydane, bezterminowe warunki zabudowy na budowę budynku jednorodzinnego wraz z niezbędną infrastrukturą techniczną.
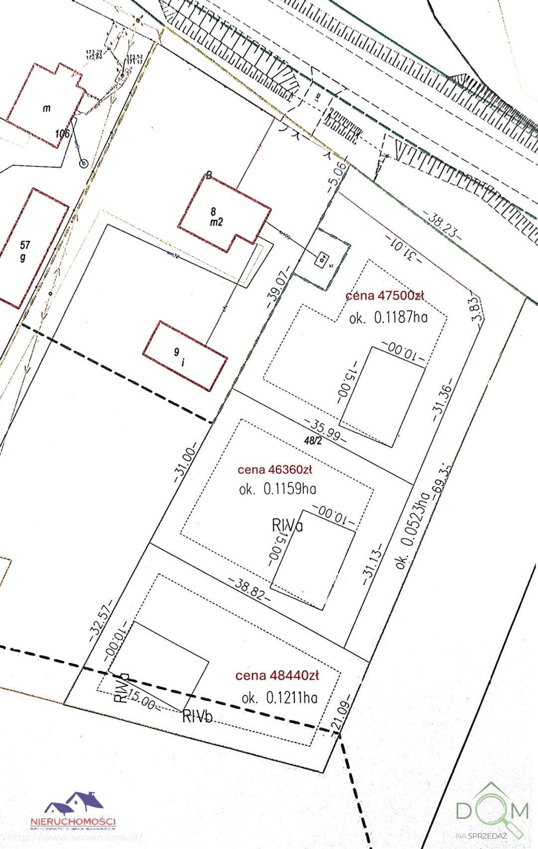
Dojazd do działek został zapewniony z wydzielonej drogi wewnętrznej (5 metrów)- udział w drodze, wpisany do księgi wieczystej.
Powierzchnie działek:
0,1187ha-pierwsza linia zabudowy, cena 47.500zł
0,1159ha-druga linia zabudowy, cena 46.360zł
0,1211ha-trzecia linia zabudowy, cena 48.440zł
MEDIA: Prąd, woda miejska, oraz gaz.
W sąsiedztwie nowa zabudowa mieszkalna oraz działki budowlane z możliwością zakupu. Okolica cicha i spokojna.
Zapraszamy na prezentację w terenie!!!
Będziemy z Tobą od prezentacji do aktu notarialnego. Przygotujemy dla Ciebie dokumenty do zakupu.
BIURO POŚREDNICTWA W OBROCIE NIERUCHOMOŚCIAMI
JOLANTA SERWIN
UL.GRUNWALDZKA 27
33-200 DĄBROWA TARNOWSKA
TEL/FAX: 14 642 47 01,
MOBILE: 604 642 286, 695 444 447
jolanta@serwin.com.pl
Pośrednik odpowiedzialny zawodowo za wykonanie umowy pośrednictwa: Jolanta Serwin (licencja nr: 4899)
Oferta wysłana z systemu Galactica Virgo
×
Napisz do
właściciela nieruchomości
Wypełnij formularz poniżej, a
Jolanta Serwin
otrzyma Twoją wiadomość
✕
Budujmy tę stronę razem. Twoja opinia jest dla nas ważna.
Wypełnij ankietę
Wybierz sposób wyszukiwania
Rysowanie na mapie
Narysuj obszar na mapie, w którym chcesz szukać nieruchomości
Szukanie w promieniu
Szukaj w określonym promieniu od wskazanego adresu
Szukanie po adresie
Wpisz nazwę miejscowości, dzielnicy lub ulicy
Szukanie na mapie
Przeglądaj mapę z wyświetlonymi ofertami nieruchomości
🍪 Zarządzanie plikami cookies
Ta strona używa plików cookies w celu zapewnienia prawidłowego działania serwisu, analizy ruchu i personalizacji treści.
Możesz zarządzać swoimi preferencjami lub zaakceptować wszystkie cookies.
Dowiedz się więcej w Polityce Prywatności.